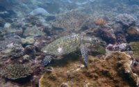
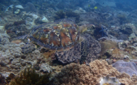
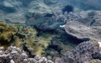
We would like to thank everyone who have named and adopted a sea turtle in Kenya. Your kind support allows us to continue our sea turtle population studies, conservation work, and education and community outreach activities in Kenya.
~The ORP – Kenya Team






















































































































































































































































































































